Faith, Family, Lifestyle

This week’s Be Well Wednesday remedy is a powerhouse blend of immune-boosting, anti-inflammatory, and healing ingredients; perfect for cold, flu, and overall wellness. Read more

This isn’t just a bowl of veggies; it’s a celebration of life, energy, and divine design. Every bite is a testimony that whole, live foods can heal, uplift, and energize. And as we nourish our bodies, we glorify the One who made them. Read more
As the chill of the season settles in, our homes become sanctuaries of wellness. Here are my must-haves for a faith-rooted, plant-based or not home this season. Read more

Onions don’t just bring flavor to our meals but are a powerhouse of healing benefits. Take a few minutes to learn more. Subscribe and follow. Printable PDF enclosed just for you. Be Well! Read more

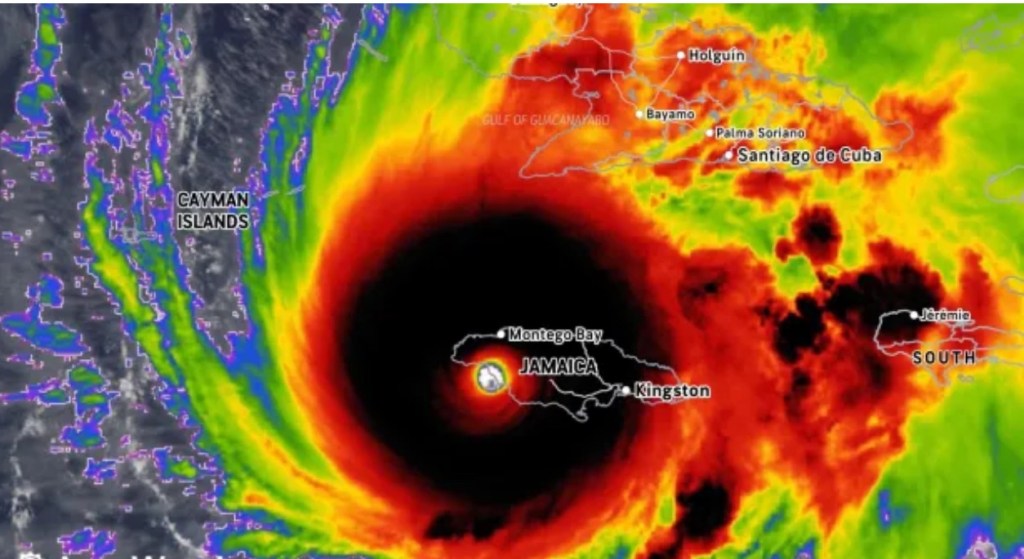
Together we can help rebuild Jamaica, Haiti, Cuba and others affected by hurricane Melissa. Read more